Sign up to get new listings emailed daily! JOIN SIGN IN
Theresa Carroll, DRE#01890268, REALTOR®
(720) 530-5098

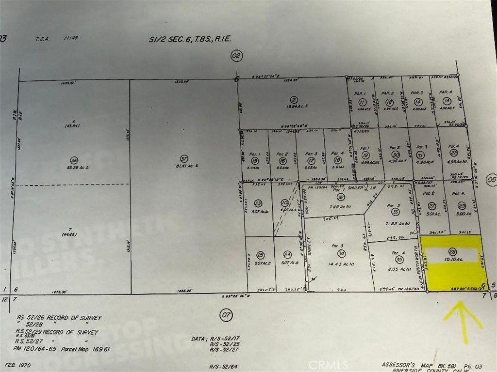
0 Rich Lane, Aguanga, CA 92536

$90,000
  • 0 Rich Lane, Aguanga, CA 92536 Main Photo

1 Total Photos [Click to View All]

New to the Market Active
LOT SIZE 10.100 acres MLS#DW26081131
STATUSActive PROPERTY TYPELand - Residential

Listing Courtesy of: First Team Real Estate
Agency Phone: 562-596-9911
Associate Name: Craig Marson
IDX logo


Listing Shown by: Farrell Smyth, Inc.
Associate Name: Theresa Carroll, DRE#01890268, REALTOR®


Property Description

Experience the rare opportunity to own approximately 10.01 acres of private, scenic land in the peaceful community of Aguanga. This expansive parcel captures sweeping panoramic views of Mount Palomar, Mount Cahuilla, and the surrounding mountain ranges?offering a stunning backdrop for your future dream home. This property delivers the ideal balance of seclusion and usability, with ample space for horses, agriculture, vineyards, or a custom estate tailored to your lifestyle. Whether you envision a hobby farm, weekend retreat, or full-time residence, the possibilities here are truly endless. Enjoy breathtaking sunrises, star-filled skies, and the quiet serenity that only country living can provide. Despite its tranquil setting, the property remains conveniently located just minutes from Highway 79, providing easy access to Temecula, Vail Lake Resort, and San Diego County. Temeculas renowned wine country, dining, shopping, and entertainment are all within approximately a 15-minute drive. Nearby amenities also include a local general store, post office, and the Temecula Olive Oil Company groves. Surrounded by natural beauty, the area is well-known for its equestrian-friendly environment, with nearby riding trails and scenic routes offering views of Vail Lake and the rolling countryside. A unique offering for those seeking space, privacy, and natural beauty?while still maintaining close proximity to modern conveniences. Dont miss this exceptional opportunity to create your own private retreat in one of Aguangas most desirable rural settings.

0 Rich Lane | MLS# DW26081131

This land located at 0 Rich Lane, Aguanga, CA 92536 is currently listed for sale with an asking price of $90,000. The property has approximately 10.10 Acres. Search Aguanga real estate on theresacarroll.farrellsmyth.com today.

Property Features

Property Type: Land - Residential
Lot Size: 10.10 Acres

Feature Descriptions

Community Features: Biking, Horse Trails, Mountainous
Days on Site: 2
Horse Amenities: Riding Trail
Lot: 6-10 Units/Acre
Parcel#: 581030028
Special View Info: Mountain(s)
Utilities: See Remarks
Water: Other

Listed By / Shown By

Listed By

Agency Name: First Team Real Estate
Agency Phone: 562-596-9911
Agent Name: Craig Marson

agent picture

Shown By

Agent Name: Theresa Carroll, DRE#01890268, REALTOR®
Agent Phone: (720) 530-5098
Agency Title: Farrell Smyth, Inc.

IDX logo

Estimate Your Payment

Estimated Payment

$ 226.55 per month $200.30 Principal & Interest $0.00 Property Tax (data not provided by mls) $26.25 Homeowner's Insurance

Change Payment Information

%
years/fixed
yearly
yearly (est.)
(Payments are an estimate and may vary by lender)
Disclaimer: All information deemed reliable but not guaranteed. All properties are subject to prior sale, change or withdrawal. Neither listing broker(s) or information provider(s) shall be responsible for any typographical errors, misinformation, misprints and shall be held totally harmless. Listing(s) information is provided for consumers personal, non-commercial use and may not be used for any purpose other than to identify prospective properties consumers may be interested in purchasing. Information on this site was last updated 04/18/2026. The listing information on this page last changed on 04/18/2026. The data relating to real estate for sale on this website comes in part from the Internet Data Exchange program of Delta Media Group MLS (last updated Sat 04/18/2026 4:54:37 AM EST) or CRMLS (last updated Sat 04/18/2026 12:28:46 AM EST). Real estate listings held by brokerage firms other than Farrell Smyth, Inc. may be marked with the Internet Data Exchange logo and detailed information about those properties will include the name of the listing broker(s) when required by the MLS. All rights reserved.
Privacy Policy / DMCA Notice / ADA Accessibility

Login to My Homefinder

Pixel